| 価格 |
130万円 | 交通 | 石巻線 「渡波」駅 徒歩21分 |
|---|---|---|---|
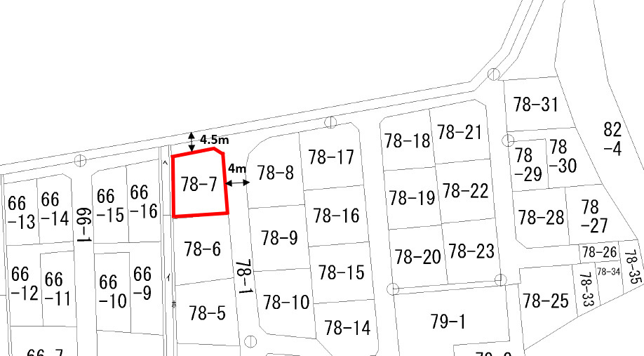
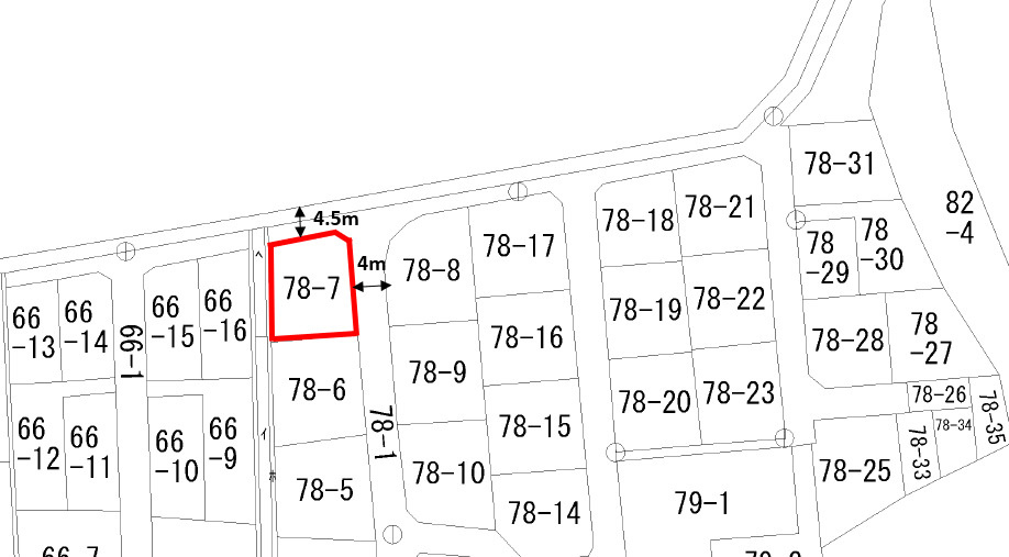
| 土地面積/坪数 | 151.83㎡ / 45.92坪 | 所在地 | 宮城県石巻市渡波字梨木畑 78-7 |
| 建ぺい率 | 容積率 |
売地
| 価格 |
130万円 | 交通 | 石巻線 「渡波」駅 徒歩21分 |
|---|---|---|---|
| 土地面積/坪数 | 151.83㎡ / 45.92坪 | 所在地 | 宮城県石巻市渡波字梨木畑 78-7 |
| 建ぺい率 | 容積率 |
「利回り」は、当該不動産の1年間の予定賃料収入の不動産取得対価に対する割合であり、公租公課その他当該物件を維持するために必要な費用の控除前のものです。
また、予定賃料収入が確実に得られる事を保証するものではありません。

牡鹿半島への通り道、目の前が海です!資材置場や漁業関係、釣り好きな方におすすめです!コンビニエンスストアも近くにあります。
※地図上の物件位置は近隣に物件が所在することを表すものであり、実際の物件所在地とは異なる場合がございます。
0225-94-8311
営業時間:9:00~17:30 (土日祝は9:00~17:00) / 定休日:なし(年末年始のみ休み)
| 所在地 | 宮城県石巻市渡波字梨木畑 78-7 | ||
|---|---|---|---|
| 交通 | 石巻線 「渡波」駅 徒歩21分 | ||
| 価格 | 130万円 | 坪単価 | 2.83万円 |
| 土地面積 | 151.83㎡ | 建築条件 | 無 |
| 土地権利 | 所有権 | 建ぺい率/容積率 | / |
| 私道負担面積 | セットバック | ||
| 接道状況 | 角地 (北側 公道4.5m 間口12.4m) (東側 公道4.0m 間口12.8m) | ||
| 地目 | 宅地 | 地勢 | 平坦 |
| 土地の権利形態 | 開発面積 | ||
| 都市計画 | 市街化調整区域 | 用途地域 | 指定なし |
| その他法令上の制限 | |||
| 国土法届出 | 不要 | 取引態様 | 専任媒介 |
| 現況 | 更地 | 引渡し | 即時 |
| 設備条件 | 公営水道 | ||
| その他条件 | |||
| 備考 |
※調整区域、基本再建築不可 ※残置物買主負担、現状渡し ※境界現状渡し |
||
| 周辺の学校 | |||
| 物件番号 | 100425857 | ||
| 情報公開日 | 2026年1月20日 | 次回更新予定日 | 2026年2月3日 |
| 取引条件の有効期限 | 2026年2月3日 | ||
| 取扱い会社 |
株式会社 牡鹿観光 〒986-0853 宮城県石巻市門脇字二番谷地13-477 宮城県知事(10)第2764号 (公社)宮城県宅地建物取引業協会 |
||
0225-94-8311
営業時間:9:00~17:30 (土日祝は9:00~17:00) / 定休日:なし(年末年始のみ休み)
| 所在地 | 物件の住所を表示。(詳細住所は表示していない場合もある) | ||
|---|---|---|---|
| 交通 | 物件(部屋)の沿線駅・バス停を表示。(複数駅・バス停の利用が可能な場合は最大3件まで) | ||
| 間取り/詳細 | 数字は居室数を表示。LDKはそれぞれ「リビング」「ダイニング」「キッチン」、S(納戸)とは「納戸」「サービスルーム」「マルチルーム」「フリールーム」など建築基準法第28条に適合していないため、居室と認められない納戸その他の部分を表す。 | ||
| 価格 | 販売されている住戸の価格を表示。仲介手数料は含まない。 | ||
| 管理費 | 共同住宅の設備その他共用部分の維持および管理をするために必要な費用を表示。 | ||
| 修繕積立金 | 共用部分の修繕のために積立てる金額を表示。 | ||

売地
| 価格 | 410 万円 | ||
|---|---|---|---|
| 土地面積 | 271.16㎡ | 建築条件 | |
| 土地坪数 | 82.02坪 | 坪単価 | 5万円 |
| 建ぺい率 | 50% | 容積率 | 80% |
| 住所 | 宮城県石巻市沢田字流留境畑1-17 | ||
| 交通 |
石巻線「沢田」駅 徒歩5分
|
||
売地
| 価格 | 100 万円 | ||
|---|---|---|---|
| 土地面積 | 177.00㎡ | 建築条件 | 無 |
| 土地坪数 | 53.54坪 | 坪単価 | 1.87万円 |
| 建ぺい率 | 60% | 容積率 | 200% |
| 住所 | 宮城県石巻市流留字家の前10-34 | ||
| 交通 |
石巻線「万石浦」駅 徒歩14分
|
||
売地
| 価格 | 300 万円 | ||
|---|---|---|---|
| 土地面積 | 178.00㎡ | 建築条件 | 無 |
| 土地坪数 | 53.84坪 | 坪単価 | 5.57万円 |
| 建ぺい率 | 容積率 | ||
| 住所 | 宮城県石巻市須江字欠50-77、50-66 | ||
| 交通 |
石巻線「佳景山」駅 徒歩30分
|
||
売地
| 価格 |
値下げ:2023/05/19 280 万円 | ||
|---|---|---|---|
| 土地面積 | 304.00㎡ | 建築条件 | 無 |
| 土地坪数 | 91.95坪 | 坪単価 | 3.05万円 |
| 建ぺい率 | 容積率 | ||
| 住所 | 宮城県石巻市桃生町城内字舘下45-3、45-15 | ||
| 交通 |
気仙沼線「陸前豊里」駅 徒歩45分
|
||
【外観】